Trioza anceps

Family: Triozidae | Genus: Trioza
Detachable: integral
Color: brown, orange, red, yellow, green, purple
Texture: hairless, mottled
Abundance:
Shape: conical, numerous
Season:
Related:
Alignment:
Walls:
Location: upper leaf
Form: pocket
Cells:
Possible Range:i
Common Name(s):
Synonymy:

Jumping plantlice (Hemiptera: Psylloidea) attacking avocado pear trees, Persea americana, in the New World, with a review of Lauraceae-feeding among psylloids

Trioza anceps Tuthill

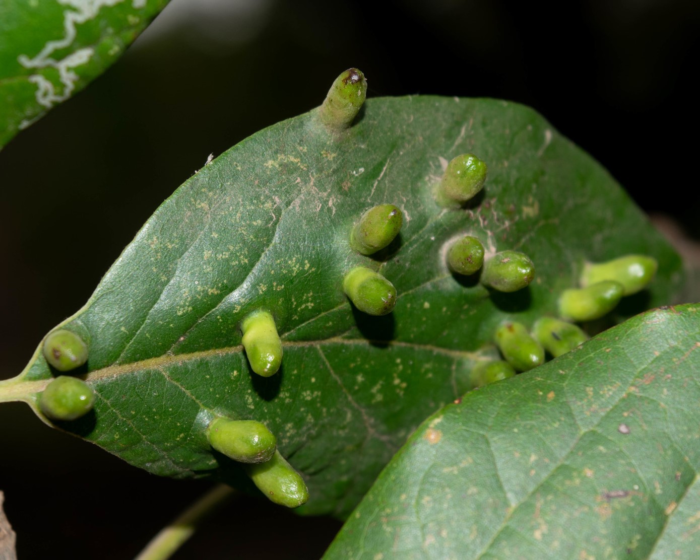
Host plant. Persea americana. The larvae feed initially on the lower surface of the leaf in pit galls, forming corresponding large conical growths on the upper surface of the leaf, into which the larvae migrate at an early stage (Hollis & Martin, field observations, see also Stahler, 1941: 217, fig).

- D. Hollis, J.H. Martin : (1997) Jumping plantlice (Hemiptera: Psylloidea) attacking avocado pear trees, Persea americana, in the New World, with a review of Lauraceae-feeding among psylloids©


Further Information:
Pending...

See Also:
iNaturalist logo
BugGuide logo
Google Scholar logo
Biodiversity Heritage Library logo