Vaccinidiplosis vaccinii (Osten Sacken)
Cecidomyia vaccinii New Combination
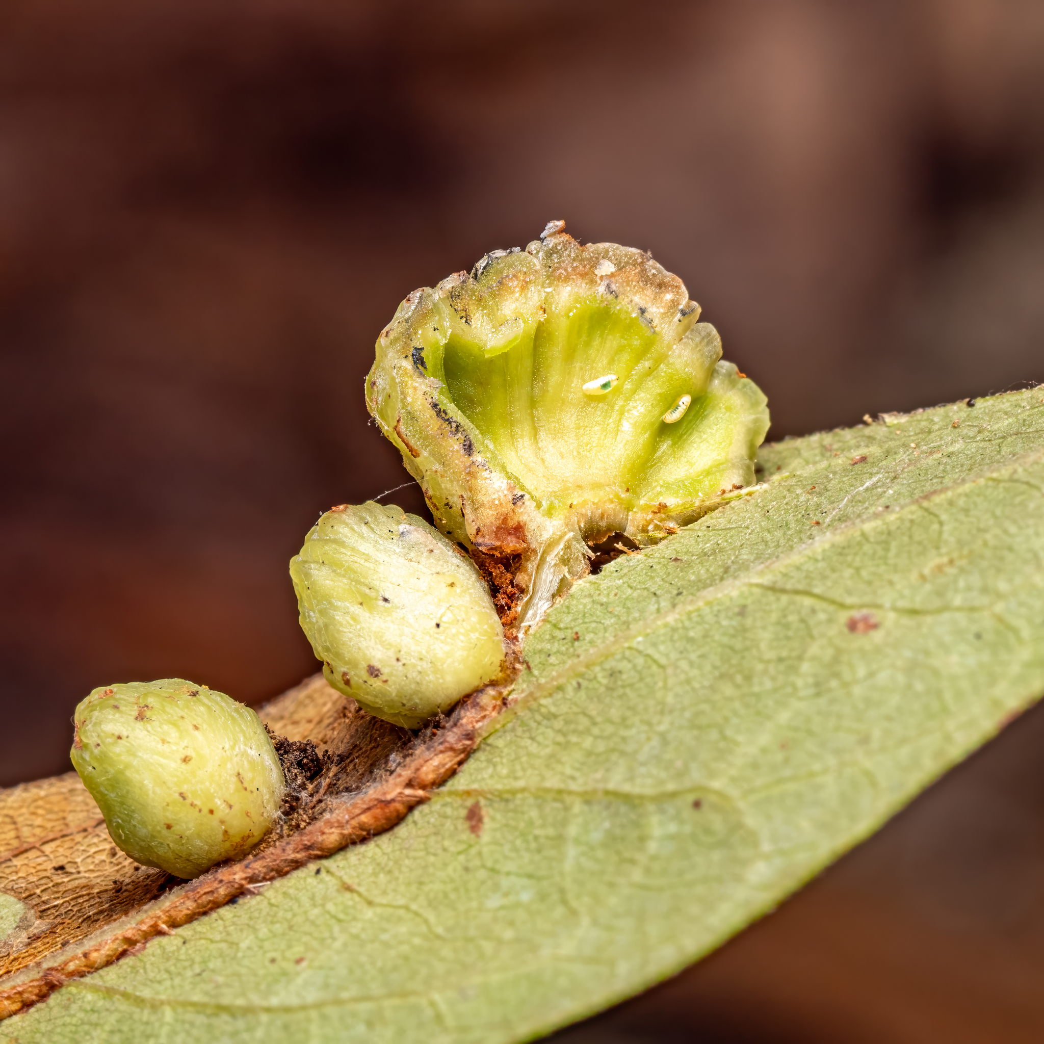
Dasyneura gaylussacii
Host: Vaccinium stamineum
Galls are usually green and scallop-shaped with a serrate distal margin. Galls may turn orange to red in the fall or after leaves are picked. They are attached to the main veins on the under surface of leaves, which makes them inconspicuous from above. Galls may be found from July to October along the Atlantic United States from Massachusetts to Georgia. Each gall contains one to several larvae. Larvae remain in the first instar for most of the summer, usually until late August, when growth proceeds quickly through the second instar to the mature third and last instar. When larvae become fully developed in autumn, the galls split lengthwise into two equal halves. The larvae then drop to the ground, burrow under the surface. and form cocoons. Adults emerge the following spring. We have found the galls only on deerberry, Vaccinium stamineum L., in Georgia and Maryland, never on other blueberries or huckleberries. Galls have been found also on V. stamineum from Pennsylvania (J. Plakidas, personal communication, specimens in the National Museum of Natural History), North Carolina (Beutenmiiller 1907), and Massachusetts (Stebbins 1910). We cannot corroborate literature records of C vaccina from Gaylussacia (huckleberry), because we have seen no leaf galls on plants of that genus. It is possible also that such records are due to the misapplication of the common name "huckleberry."
Distribution, — (from north to south) Massachusetts, Pennsylvania, New Jersey, Maryland, Washington, D.C, North Carolina, Georgia.
Remarks. — Felt (1915) considered Osten Sacken's Cecidomyia vaccinii as having no standing in zoological nomenclature and confused it with Cecidomyia vaccinii Smith (now Dasineura oxycoccana [Johnson]), a species that feeds in blueberry and cranberry buds. Felt (1918) effectively renamed Osten Sacken's species as Dasyneura (sic) gaylussacii Felt and attributed it to the typical gall on Vacciniiim. but ascribed "Cecidomyia (vaccinii O.S)" to a purported generally similar gall on Gaylussacia frondosa. Felt (1925) formally renamed Osten Sacken's C. vaccinii as Cecidomyia gaylussacii. stating that the gall might be the work of a Dasineura. Felt 1940 listed Dasyneura (sic) gaylussacii Felt for the gall of Vaccinium spp. but still used Cecidomyia vaccinii Osten Sacken for the gall of Gaylussacia frondosa. As argued in our introduction, there is no hard evidence that V vaccinii occurs on Gaylussacia.